Por el Pacífico Existen Tres Perturbaciones Tropicales que generan lluvias

habrá ratos de sol hasta después del mediodía, con aumento de nublados en la tarde

 

 

El Maestro Víctor Cornejo López, Jefe de la Unidad de Meteorología del Centro Universitario de la Costa, de la Universidad de Guadalajara, informó que este martes 25 de agosto, no cambia el esquema atmosférico del país, caliente y seco en Norte, cálido y muy lluvioso en el Sur.

Podrían Formase Nuevos Ciclones por el Pacífico

Se estiman lluvias por la tarde noche

 

El Maestro Víctor Cornejo López, Jefe de la Unidad de Meteorología del Centro Universitario de la Costa, de la Universidad de Guadalajara, informó que este lunes 24 de agosto se esperan fuertes contrastes atmosféricos se siguen observando en el país, entre el seco y caluroso Norte, y la cálida y humedad mitad Sur en las regiones del país.

Tiene CUCosta embajador de 25th Eco-Generación Regional Ambassador

El Centro Universitario de la Costa, de la Universidad de Guadalajara Informa:

 

 

Apoya CUCosta a comunidad indígena de Chimo con consultas médicas

A través del Programa de Desarrollo Sustentable de Comunidades Costeras se entregó ropa, juguetes, medicamento y atención médica

 

A través del CUCosta, de la UdeG Informa…

 

Tiempo veraniego para el fin de semana en la Bahía de Banderas

el fin de semana, habrá tiempo veraniego, con días mezclados de sol y presencia de lluvias. Por lo pronto, no hay evento meteorológico, salvo las propias del temporal, buen tiempo para estar en casa

 

 

El Maestro Víctor Cornejo López, Jefe de la Unidad de Meteorología del Centro Universitario de la Costa, de la Universidad de Guadalajara, informó que continua el tiempo contrastante a nivel nacional.

Aire seco procedente de Texas y del Norte del Golfo de México, mantienen cielos despejados.

Hay condiciones favorables para que se presentes lluvias por la tarde

El Maestro Víctor Cornejo López, Jefe de la Unidad de Meteorológica del Centro Universitario de la Costa, informó que para este jueves 20 de agosto, se siguen presentando fuertes contrates, cielos claro, ambiente seco, muy caluroso, tiempo que domina en los estados fronterizos del Norte. Piedras Negras y Ciudad Juárez, superará los 40, Mexicali llegará a los 45 grados.

Mientras que en los mares del Pacífico Sur, se mantienen activos con extensas zonas de nublados y lluvias provocadas por centro de baja presión y una onda tropical que avanza en mares de Michoacán.

Entrega CUCosta más de 1,000 despensas a estudiantes

Dicho programa, también ha beneficiado a alumnos de cinco módulos de preparatoria en esta región

 

Como parte del programa, “Ayuda a que otros se queden en casa”, de la Universidad de Guadalajara, y que se instituyó para apoyar a las familias de los universitarios, en esta etapa de la pandemia por COVID 19, se han entregado 1,044 despensas. El pasado 11 de agosto comenzó la segunda etapa.

El Huracán “Genevieve” se alejó de la Costa de Jalisco

En la región de Bahía de Banderas continuará el predominio de nublados

 

 

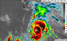
El Maestro Víctor Cornejo López, Jefe de la Unidad de Meteorológica del Centro Universitario de la Costa dio a conocer que se mantiene muy activa la atmósfera en el Pacífico, por el huracán “Genevieve”, que se perfila en la trayectoria pronosticada.

Ya es categoría 4 huracán “Genevieve”, dejará fuertes lluvias

Se pronostican fuertes lluvias, oleajes y vientos

 

A través de la Unidad de Meteorológica del Centro Universitario de la Costa, se informa: 

 

 

Lo más relevante en los asuntos atmosféricos es la evolución del huracán “Genevieve”,que se localiza a unos 380 kilómetros de Oeste-Sur Oeste de Manzanillo, o 630 kilómetros al Sur–Sureste del extremo Sur de Baja California

El huracán “Genevieve no amenaza costas nacionales

El ciclón “Fausto” se disipará hoy por la tarde en aguas frías

 

 

El Maestro Víctor Cornejo López, Jefe de la Unidad de Meteorológica del Centro Universitario de la Costa, informó que hay mucha actividad de nublados y lluvias que se observan en el Pacífico. Sin embargo, la depresión tropical número 10, ya es historia.

Con relación al ciclón “Fausto”, el Maestro Víctor Cornejo López, aseguró que ahora también depresión tropical se disipará la tarde de este lunes al entrar en aguas más frías.